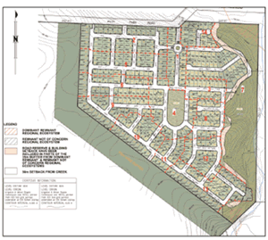
Maranda Heights, Pilot Farm Road, Emerald
Portfolio Projects are presently finalizing approvals with
Emerald Shire Council to develop a premier
residential community on the southern outskirts of
Emerald. The Maranda Heights Estate is the only
elevated land on the southern side of town and is
situated with great access to future proposed shops,
the Gregory Highway and the airport. The land
boasts views over the land to the north.
The development of this site will facilitate the
extension of sewer reticulation services and water
services at the southern end of the township. The
jewel in the estate will be a 1 hectare community
park centrally located on elevated land.
Approvals are due at the end of 2007 and
construction is due to commence in 2008.

Now Selling |