![]() |
|||
![]() |
![]() |
||
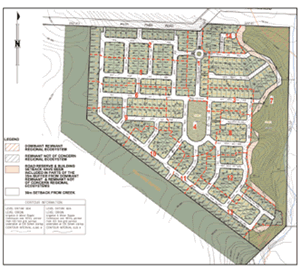
| Miranda Heights, Pilot Farm Road, Emerald Portfolio Projects are presently finalizing approvals with Emerald Shire Council to develop a premier residential community on the southern outskirts of Emerald. The Miranda Heights Estate is the only elevated land on the southern side of town and is situated with great access to future proposed shops, the Gregory Highway and the airport. The land boasts views over the land to the north. The development of this site will facilitate the extension of sewer reticulation services and water services at the southern end of the township. The jewel in the estate will be a 1 hectare community park centrally located on elevated land. Approvals are due at the end of 2007 and construction is due to commence in 2008. ![]() |
|||